Land Rustic For Sale

Land in Sesimbra

Sesimbra (Castelo)   Sesimbra   Setúbal

ID ZMPT7559394

0.87713212 BTC

All photos
Presentation
Features
City view
Countryside view
  • USEFUL AREA: 331m2
  • LAND AREA: 331m2
Details
Property ID: ZMPT7559394

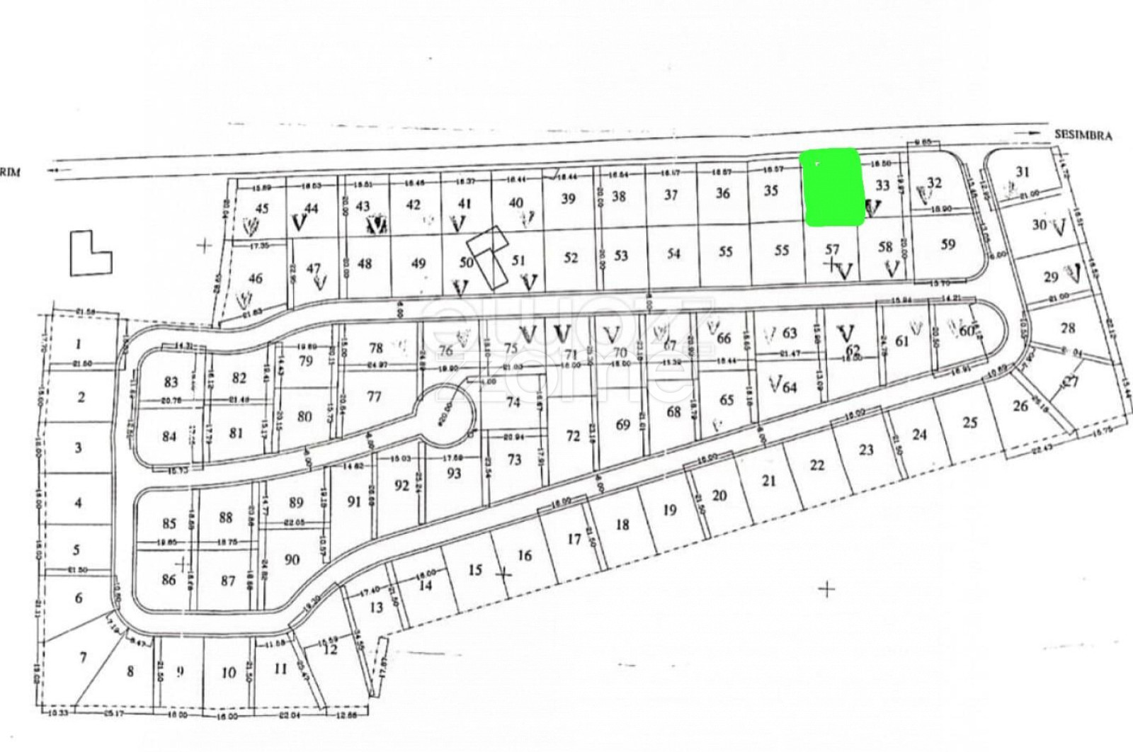
Land measuring 16.57m2 x 19.97m2, totaling 331m2.
The land (designated as Lot nº 34) is in quotas.

The information provided, although accurate, does not require confirmation...
View more
Location
Open in Google Maps
Open street view
Contact us

ZOME Amadora

Avenida Conde Castro de Guimarães nº 2A
2720-119 Amadora

WHICH 20298

Partners and awards
Copyright CRYPTOHOUSES® 2023. All rights reserved.
Privacy policy Terms and conditions Alternative dispute resolution Complaint book
Call